金沢不動産売買ナビ

お気軽にお電話ください!

076-222-8828

売りたい方
無料査定依頼
買いたい方
不動産リクエスト
  • 販売不動産検索
  • 無料査定・相談
  • コラム
  • よくある質問
  • 選ばれる理由
  • お役立ちリンク
  • お気に入り一覧

お気軽にお電話ください!

076-222-8828

売りたい方
無料査定依頼
買いたい方
不動産リクエスト
金沢不動産売買ナビ > 不動産情報 > 金沢市 > 金沢市朝霧台一丁目(土地)①号地

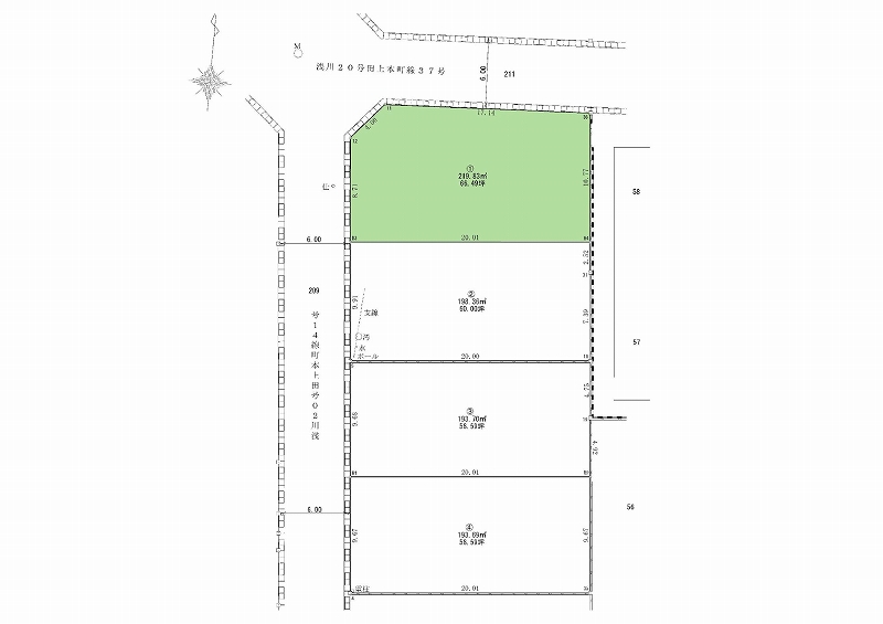
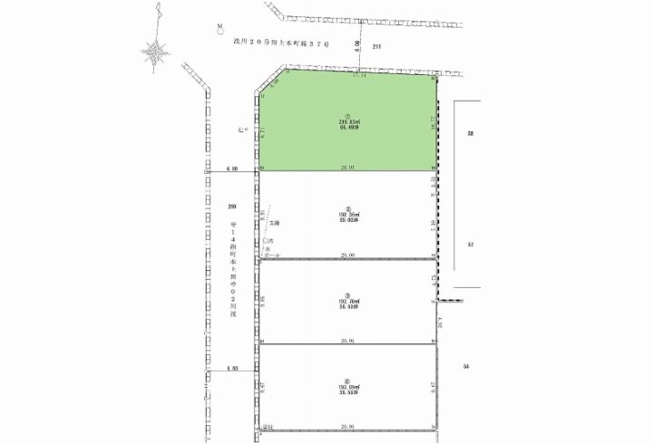
金沢市朝霧台一丁目(土地)①号地

お気に入りに追加
(1人がお気に入り)
更新日:2026年02月03日
価格2,260万円
土地面積 219.86㎡(66.50坪)
坪単価 33.9万円
金沢市朝霧台一丁目76番77番より分筆 北鉄バス「石川森林管理署前」 徒歩1分
土地
金沢市朝霧台一丁目に、全4区画の分譲地が誕生!
近くには小学校があり、毎日の通学も安心。
閑静な住宅街で、落ち着いた暮らしと利便性を両立できる住環境です。
資料をダウンロード 地図で見る
金沢市朝霧台一丁目(土地)①号地
価格2,260万円
土地面積 219.86㎡(66.50坪)
金沢市朝霧台一丁目76番77番より分筆
土地
所在地 金沢市朝霧台一丁目76番77番より分筆
土地面積 219.86㎡(66.50坪)
面積種別 公簿面積
地目 宅地
現況 更地
分譲総面積
分譲販売区画数
都市計画区域 市街化区域
用途地域 第二種住居地域
建ペイ率 60%
容積率 200%
道路種別 公道
前面道路幅 北 6.0m   西 6.0m  
間口 29.85m
角地/非角地 角地
交通 北鉄バス「石川森林管理署前」 徒歩1分
電気 北陸電力
飲水 公営上水
排水 公共下水
ガス 都市ガス
小学校 朝霧台
中学校 兼六
備考 ※上下水道敷地内引込済(負担金66万円別途必要)
取引条件
施設負担金
引渡日 相談
建築条件 なし
取引態様 仲介
取引条件備考 現地案内をご希望の際は、事前にご連絡をお願い致します。
担当者:大川 元暉

石川県知事(6)第3529号/(公社)石川県宅地建物取引業協会会員

株式会社 苗加不動産

売買営業部(もりの里店) 金沢市もりの里2丁目21番地/TEL.076-222-8828

お客さまのご希望の不動産をスタッフがお探しします!
  • 不動産カテゴリを選択

  • 新築・中古

  • 価格帯を選択

    万円 〜 万円
  • 市区町村を選択

  • 面積

    ㎡(坪) 〜 ㎡(坪)
お気軽に
お問い合わせください!
  • 無料査定依頼

    不動産売却で
    お悩みの方は、
    まず資産価値をチェック!

  • 不動産リクエスト

    お客さまの
    ご希望の不動産を
    お探しします!

  • お問い合わせ
    076-222-8828
  • 販売不動産検索
  • 無料査定・相談
  • コラム
  • よくある質問
  • 選ばれる理由
  • お役立ちリンク
  • お気に入り一覧
  • 会社概要
  • 店舗紹介
  • 個人情報保護方針
  • のうか不動産
  • 金沢賃貸ナビ
  • 金沢学生マンションナビ
  • ミニミニ金沢
  • 金沢テナントナビ
のうか不動産 のうか不動産
株式会社 のうか不動産
〒920-1167 石川県金沢市もりの里2丁目21番地
営業時間 / 10:00〜18:00 定休日 / 定休なし
プライバシーマーク

株式会社のうか不動産は「プライバシーマーク」
使用許諾事業者として認定されています。

株式会社 のうか不動産
〒920-1167 石川県金沢市もりの里2丁目21番地
営業時間 / 10:00〜18:00 定休日 / 定休なし
(c) NOKA REAL ESTATE Co.,Ltd. all rights reserved.